Uma expedição para mapear o fundo dos oceanos descobriu que a Fossa das Marianas, no Pacífico, o ponto mais profundo do planeta, é atravessada por quatro "pontes".
A missão, liderada por James Gardner e Andrew Armstrong, da Universidade de New Hampshire, dos EUA,demorou três meses - de agosto a outubro de 2010 - a mapear os 400 quilómetros quadrados da Fossa.
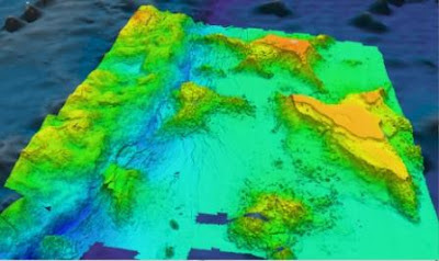
Descobriu quatro "pontes" que se elevam até 2500 metros acima do fundo do oceano, que atinge aqui a profundidade máxima de 10 994 metros, na chamada Depressão Challenger. Uma leitura que também é nova (mesmo com uma margem de erro de 40 metros), já que anteriormente se pensava que a profundidade seria no máximo de 10 916 metros.
As imagens de satélite da Fossa já deixavam adivinhar a existência de uma destas pontes, mas os investigadores encontraram quatro, recorrendo a um tipo de sonar muito avançado que emite vários ultra-sons e analisa o seu eco para produzir uma imagem do fundo do mar.
Combinando estas imagens construíram uma imagem tridimensional da área, com uma precisão de um pixel por cem metros. As "pontes" foram formadas pela colisão da placa tectónica do Pacífico com a placa das Filipinas, explica Gardner..
fonte: DN

Sem comentários:
Enviar um comentário